Thursday saw the start of groundwork, near the middle of the Gulf Coast, as newly formed Tropical Storm Karen is heading toward it. Karen could become the first named tropical system to possibly bring danger to the United States this year.
Both tropical storm and hurricane watches have been enacted from the southeast of Louisiana to Florida and a couple of gas and oil rig platforms in the storm’s possible path were being safeguarded and evacuated.
Karen is expected to slow down as it nears the coast, which will increase the probability of major rain along the Gulf Coast and the southeast of the U.S. through the entire weekend.
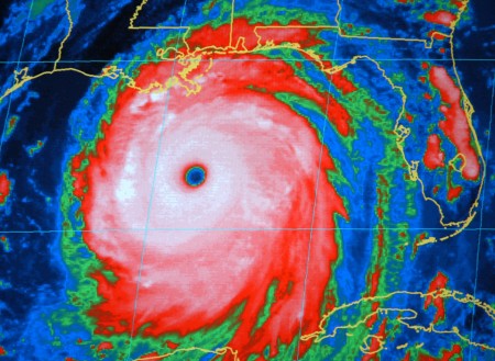
The National Hurricane Center, which is located in Miami, said the tropical storm was about 485 miles south of the edge of the Mississippi River and had so far reached winds of 65 mph.
The tropical storm watch also was in effect for parts of the Louisiana coast, including the New Orleans area where Hurricane Katrina hit.
Tropical Storm Karen was heading in a north-northwest direction toward the Gulf Coast at 12 mph. It could be near or even at hurricane strength by Friday, forecasters stated but they added it was too soon to calculate the storm’s possible, eventual strength. It might weaken, somewhat, as it approaches the coast over the upcoming weekend.
If Karen becomes a hurricane or stays a tropical storm, its effects are expected to be largely the same: heavy rain and the prospective for similar storm surges. Through all this residents are checking the storm and eager to escape the coming possible bad weather.
“Hopefully, this one is just a little rain event,” said one Louisiana resident, “We don’t need a big storm coming at us this late in the season.”
Citizens in the warning areas should continue to be aware and listen to local emergency advisories. They are advised to start making preparations now.
A cold front, which was approaching from the northwest, was anticipated to turn Karen to the northeast, away from the Louisiana coast and directed more at Florida or coastal Alabama. But, the storm’s timing over the weekend is unclear.
Grand Isle, which is about 60 miles from New Orleans, had damage from Hurricane Isaac in Aug. 2012. That storm sheared the mouth of the Mississippi River during its first landfall before snaking northwest. Even though Isaac was weak, it caused flooding in communities and in neighboring parishes.
A spokesman for the Louisiana Governor’s Office of Homeland Security and Emergency Preparedness stated that a conference was scheduled for Thursday morning for state and parish executives to deliberate over the storm.
The storm was predicted to move over Gulf gas and oil fields from Louisiana to Alabama. Early forecasts stated Karen would miss the gigantic oil import facility at Port Fourchon, LA, which is just west of Grand Isle. It also should go around the oil refineries that are built on the Mississippi River south of Baton Rouge.
The oil company BP explained how it had started safeguarding offshore rigs and evacuating workers who were non-essential from its four platforms in the storm’s possible path.
Other oil companies were expected to do the same as Tropical Storm Karen headed toward the Gulf Coast.
Written by: Kimberly Ruble
Discover more from Guardian Liberty Voice
Subscribe to get the latest posts sent to your email.


