
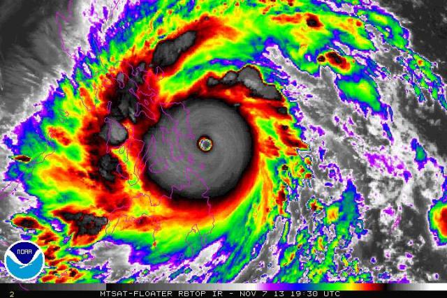
One of the strongest, most intense storms ever recorded has hit the Philippines, reaching landfall at dawn. Typhoon Haiyan is said to be worse than Katrina, with winds speeds of up to 200 mph flattening townships. Meteorologists are already saying that these may be the strongest winds ever measured since they started to use satellite technology. This is an incredibly dangerous storm. It is 500 miles wide. 25 million people are affected so far on this densely populated archipelago, where many homes are flimsy structures. Massive damage and loss of life are feared in its wake. The Governor of Southern Leyte, Roger Mercado, said with the intensity of the rain this morning it felt as dark as night. “You can only pray, and pray and pray.” Mercado told an AP reporter.
Typhoon Haiyan hit the southern tip of the island of Samar before racing on to the neighboring island of Leyte. Communications are difficult at the best of times in these areas, and with telephone lines down, it was hard to gather any information. These islands are 405 miles southeast from Manila. However, it was reported that two people were electrocuted, one killed by a falling tree and another was struck by lightning there. Waves of 19 feet were hitting the shores.

To date, 72,000 people have been ordered to evacuate from their villages and towns. This includes the residents of the makeshift camp at Bohol, already reduced to living in tents after an earthquake of a 7.2 magnitude devastated their homes in October, killing 209. The National Risk Reduction and Management Council have said that the storm is making its way across the central Philippines. Governor Mercado said that 31,000 had been evacuated in his region, notoriously prone to landslides. They are urged to move to higher ground or to storm shelters.
Some televised images from Tacloban city on Leyte showed that the floodwaters were knee-deep and people were struggling through them, carrying what salvaged possessions they could. Tin roofs from the shanty-style dwellings were flying about. Visibility on these pictures was extremely poor. It would seem these people’s homes had been flattened by Typhoon Haiyan and they now faced flooding, on a scale at least as terrible as that wrought by Katrina, if not worse.
Forecasters say that with no sizable land mass to slow the storm down, the typhoon will not lose strength. It is the 24th dangerous storm to hit the islands this year alone, but with winds speeds that are unprecedented. One small ray of hope is that the storm is moving so fast that flooding from heavy rain may not be so bad. It is a maximum category-five level typhoon.
Cebu Province in the north took steps to shut down its electricity stations, to avoid electrocutions. Cebu is the second largest city in the Philippines. It is estimated that 12 million people in total were at risk there from Typhoon Haiyan, which the locals are calling Yolanda.
The President, Beningno Aquino III made a statement to assure the people that the military were prepared. 20 ships, 32 military helicopters, and three C-130 air force cargo planes were all standing by. He warned the public they may be facing calamity and urged them to make safety precautions. The government has put $4.8 million of relief supplies in place.

Not many buildings could withstand winds of these speeds, and many homes are of temporary construction, cobbled together from flimsy materials and with corrugated tin roofs. These shacks have no more strength in them than a house of cards.
The Philippines suffered the most natural disasters in 2012 of all the world’s nations, with over 2000 fatalities. A monsoon in Manila in August shut down the city and closed their financial markets for 2 days this August. Among the roll call of deadly cyclones to have hit the islands are Usagi this year, Ketsana in 2009 and Washi in 2011. Storm Durian in 2006 was the former most ferocious of these.
Typhoon Haiyan is a monster. It may be the biggest storm ever to hit land. Governor Mercado had not heard from other mayors in his municipality and he said, “I hope that means they were spared and not the other way around.” He said his worst fear was that “there will be massive loss of lives and property.” The storm is expected to travel into the South China sea by the weekend.
Haiyan was travelling 24 mph faster than Hurricane Katrina was when it hit New Orleans. The only difference between a hurricane and a typhoon is the region in which they originate. The damage they do is devastating. Katrina had an air pressure of 902 mb, the all-time record for a hurricane to hit the US, but Haiyan had a central pressure of 900 mb before it even struck.

As night falls now in the Philippines, rescue operations are not expected to be able to get through until the morning, with all flights and all ferries cancelled. It is only hoped that people have got to safety. Hundreds of thousands are predicted to have lost their homes, said a UN official.
The full effects of Typhoon Haiyan may not be known for days as transport and communication difficulties hamper the rescue services. The people of the Philippines may be used to natural disasters, but never one of this enormity. Homes will have been flattened and swept away. Katrina was terrible, but Haiyan, it must be feared, is going to turn out to be even worse.
By Kate Henderson
The Republic
Discover more from Guardian Liberty Voice
Subscribe to get the latest posts sent to your email.

